Incendio consume tres viviendas en Dajabón noviembre 7, 2024 Un devastador incendio consumió tres viviendas en el sector Neita, del municipio de Restauración, provincia Dajabón, en...
Niña de cuatro años cae desde el tercer piso de un edificio BÁVARO, República Dominicana. – Una niña de cuatro años cayó desde el tercer piso...
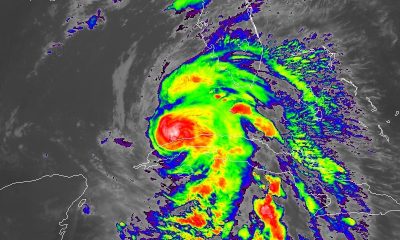
Lluvias incrementarán en varias provincias para este jueves Hoy, una circulación ciclónica en varios niveles de la troposfera y el viento moderado del noreste incrementarán las...
Fallece sargento de la Policía en acc1dent3 ocurrido en la Autopista Duarte Por Winston Hernández @winstonnoticias La Vega – Un trágico acc1dent3 ocurrido en la Autopista...
Cae vehículo en supermercado de la 27 de Febrero. Se desconocen más detalles, así como si hay personas heridas. Accidente en supermercado Nacional de la avenida...
CONTINÚA ABIERTO POZO SÉPTICO DÓNDE MURIÓ NIÑO EN DAJABÓN. NOVIEMBRE 06, 2024. Dajabón.- Continúa abierto el pozo séptico dónde perdió la vida en una construcción un...
Muer3 niño de 10 años al caer a pozo séptico en Dajabón Dajabón,- Organismos de socorro de esta ciudad, sacaron el cuerpo sin vida de un...
𝗖𝗔𝗦𝗦𝗔𝗡𝗗𝗥𝗘 𝗝𝗔𝗖𝗤𝗨𝗘𝗦 𝗥𝗘𝗡𝗨𝗡𝗖𝗜𝗔 𝗔 𝗠𝗜𝗦𝗦 𝗠𝗨𝗡𝗗𝗢 𝗗𝗢𝗠𝗜𝗡𝗜𝗖𝗔𝗡𝗔 𝟮𝟬𝟮𝟰 𝗧𝗥𝗔𝗦 𝗣𝗢𝗟𝗘́𝗠𝗜𝗖𝗔 𝗣𝗢𝗥 𝗦𝗨 𝗢𝗥𝗜𝗚𝗘𝗡 𝗛𝗔𝗜𝗧𝗜𝗔𝗡𝗢. 5 de noviembre de 2024 La candidata de San Juan de la...
Colapsa la App Banreservas: Usuarios reportan dificultades de acceso 📱 República Dominicana. – Este martes, usuarios de la aplicación móvil Banreservas han reportado dificultades para acceder...
Posicionan al nuevo director del hospital de Loma de Cabrera Dajabon _Fue juramentado en el día de hoy el doctor Jorge Luis Herrera Lora como nuevo...